/
ENS


பெங்களூரு ஆட்டோ ஓட்டுநரின் ரூ.1.6 கோடி மதிப்புள்ள பங்களா: இப்போ இதுதாங்க ஹாட் நியூஸ்
3 மே 2019

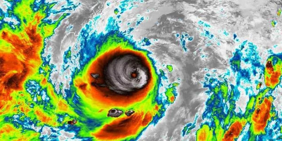
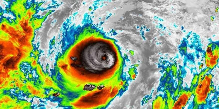
ஃபானி புயலின் கண் பகுதி கரையை கடந்து வருகிறது: மணிக்கு 245 கி.மீ. வேகத்தில் காற்று
3 மே 2019

ஒடிஸாவில் நாளை பிற்பகலில் கரையை கடக்கும் ஃபானி புயல்: அதிகாரிகளுக்கு விடுமுறை ரத்து!
2 மே 2019

மோடியை எதிர்த்துப் போட்டியிட்ட பிஎஸ்எஃப் வீரரின் வேட்பு மனு நிராகரிப்பு: இவர் நமக்குத் தெரிந்தவர்தான்
1 மே 2019

நாட்டின் பாதுகாப்புக்காக பொது இடங்களில் புர்கா அணிய தடை விதிக்க வேண்டும்: சிவசேனை
1 மே 2019

மே 1ம் தேதி மாலைக்குப் பிறகு பாதையை மாற்றும் ஃபானி புயல்: 4 மாநிலங்களுக்கு எச்சரிக்கை
30 ஏப்ரல் 2019

இது தேர்தல் காலம்: இதயம் வடிவில் விளைந்த மோடி தக்காளி! சந்தையில் விற்றுத் தீர்ந்தது
29 ஏப்ரல் 2019

முஸ்லிம்கள் என நினைத்து பாதசாரிகள் மீது காரை மோதிய அமெரிக்கர்
27 ஏப்ரல் 2019

முன்மாதிரியாக மாறியிருக்கும் காயல்பட்டிணம் பெட்ரோல் பங்க்
27 ஏப்ரல் 2019
Loading...

